Josiah Paul Beard
|
Josiah Paul Beard lived in Hillsboro, WV; and liked to be called "the Colonel". He died at the age of 62 and is buried with his wife, Grace Kinnison. Grace had a stroke later in life and was bed-ridden for many years. She was cared for by Lucille Agnes Price Beard, who was always called "Boots".
|
||||||||||||||||
|
|
References
| Obituary - Josiah Paul Beard, aged 62 years, of Hillsboro, died October 9, 1935 after a short illness of double pneumonia. On Friday afternoon his body was buried in the Oak Grove cemetery, the funeral being conducted from the Presbyterian Church by his pastor, Rev. Marlin Curry. The deceased was the son of the late Moffet and Nannie Crouch Beard. Of his father's family there remain one son, G. C. Beard and three daughters, Mrs. Mary McNeel, Mrs Pearl Nickell and Mrs. Grace Irving. He is survived by his wife, who was Miss Grace Kinnison, and their six chidren, Lynn Beard, Mrs. Lucille Price, Mrs. Nan Cooper, Mrs. Pearl McMillon, Ethel, Annette,and Pearl. |
| Death Record 133997 The death record of Josiah Paul Beard shows that he died alone as a Manic Depressive diagnosed in 1923, about 12 years before he passed away of pneumonia (age of 62) in the state hospital in Weston, WV. Surely we cannot hold fault for Josiah Paul for his condition; although it was sure to have caused tremendous pain to his family. |
| Virginia Callison remembers Josiah Paul Beard always wanted to be called "The Colonel". |
|
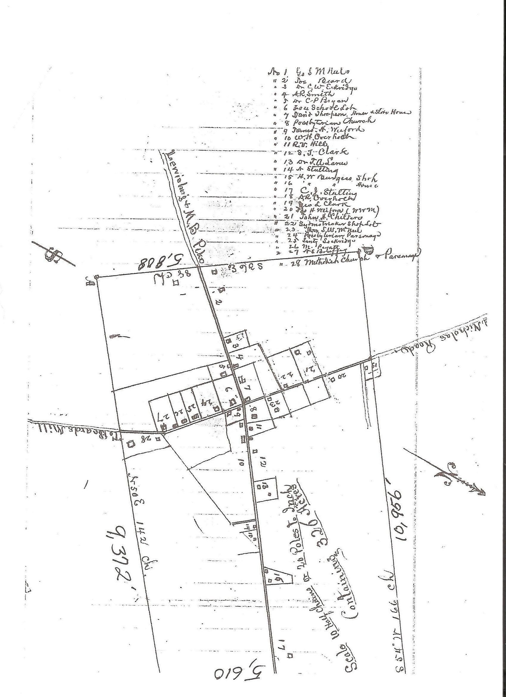
Hillsboro Map - 1886. The current Hillsboro Bed &
Breakfast is located on Building #4. Note that Josiah Beard is located
in Building #2.
|
